快訊/楊柳颱風「準備登陸台灣」!5縣市明天風雨「達停班課標準」
2025/08/12
1
/6
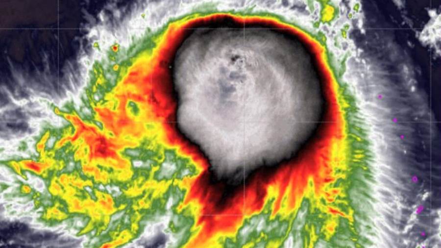
根據《ettoday新聞雲》報導,中央氣象署今日下午公布楊柳颱風最新動態,預估南台灣與東部地區將受到嚴重風雨侵襲。
圖片來源 中央氣象局
圖片來源 中央氣象局
1
/6
ADVERTISEMENT
2
/6
氣象署指出,明天上午6時至中午12時,屏東沿海地區、恆春半島、花東沿海以及離島地區將面臨強勁風勢。其中,蘭嶼、綠島地區風力最為驚人,平均風力可達11至12級,陣風更可能高達14至15級。
圖片來源 中央氣象局
圖片來源 中央氣象局
2
/6
ADVERTISEMENT
上一頁
1/3
下一頁
才說生子不強求!況明潔突PO「產房抱嬰兒慈母笑」粉絲狂恭喜 她親口曝「生孩子太辛苦」:享受結果
2025/08/13
小偷見色起意!女子「誤以為是老公」全力配合運動 驚覺「這長度不對」嚇壞尖叫急報案
2025/08/13
洗完澡「手心血管青紫」「好像喪屍」她嚇傻求助,網友變臉「看穿她1行為」嘆:打死別再碰了!
2025/08/13
【上車】小情侶半夜在深山迷路了該怎麼做?
2025/08/13
豐田這台「小猛獸」真瘋!1.6T+四驅,開過的人都說:比買跑車過癮
2025/08/13
痛苦!手上突然起這種「小水泡」,很癢抓破後有少量液體流出,該怎麼辦?教你一招,很快就好...
2025/08/13
男星食道癌「送醫22天病逝」!急診1句話超傷人 女兒崩潰:希望可以溫暖點....
2025/08/13
豐田卡羅拉大改款曝光!一體式大屏+1.8L油電,這波升級能救市
2025/08/13
《母胎單身戀愛大作戰》志受公開現狀!對載伊戀愛的看法與是否會公開戀愛等!
2025/08/13
明天 14號 「 三生肖 」 橫財最旺
2025/08/13
16,《時空裂隙開拓者》2.0 版本預定 8 月 26 日推出
2025/08/13
14,策略遊戲《羅馬隕落》結束搶先體驗
2025/08/13
09,射擊遊戲《御炮少女》8 月底上市
2025/08/13
04,視覺小說《本遊戲純屬虛構》引導獲得壓倒性負評
2025/08/13
一個男人經常這樣回覆你說明愛你入骨
2025/08/13
婚前新娘與「前男友大戰三天」!憤怒的新郎假裝不知情,沒想到婚禮當天他竟這樣狠狠羞辱她!
2025/08/13
司機媽媽工作一整天「深夜暈倒」 兒子叫人幫忙無果后,竟做出「1驚人決定」,網嘆:養兒意義何在
2025/08/13
颱風假來了!北北基宣佈了,8縣市停班停課
2025/08/12
汗液是心臟最好的反饋!若汗液出現這3個異常,多半是心梗的前兆
2025/08/13
韓網開始挖料!SJ神童公開愛豆戀愛日常引發爭議!
2025/08/12
